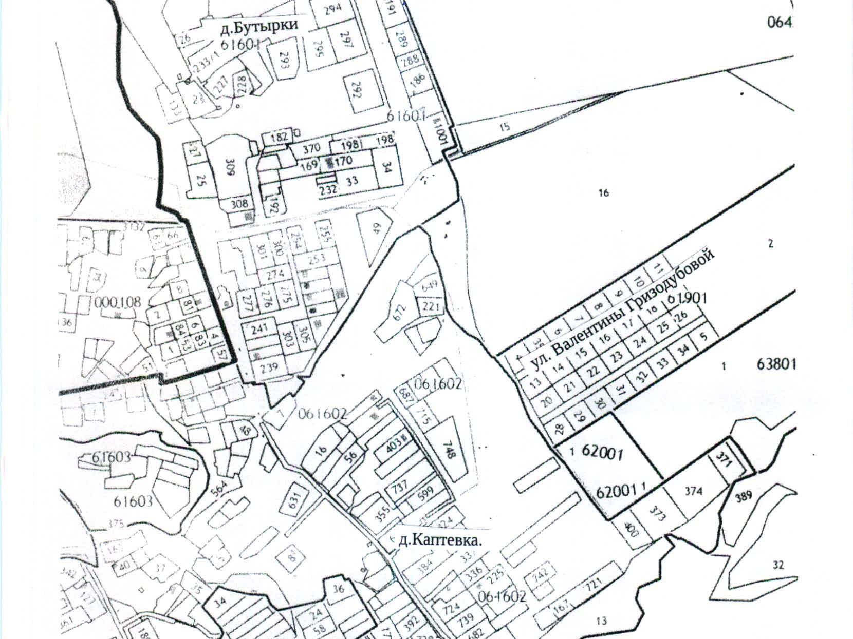
В Калуге появится улица Валентины Гризодубовой
Решение принято официально.
В Калуге появится улица летчицы, Героя Советского Союза, Героя Социалистического труда, депутата Верховного Совета СССР Валентины Гризодубовой. Соответствующее решение принято на заседании городской думы.
Улица будет располагаться в деревне Каптевка.
Валентина Гризодубова родилась в 1909 году в Харькове. В октябре 1937 года установила пять мировых авиационных рекордов для женщин на легкомоторных самолётах. В 1938 году в качестве командира экипажа совершила беспосадочный перелёт из Москвы на Дальний Восток, установив международный женский рекорд дальности полёта.
Во время Великой Отечественной войны лётчица совершила около 200 боевых вылетов.
Улица Валентины Гризодубовой в Калуге.
Чтобы оставлять комментарии
Авторизуйтесь
